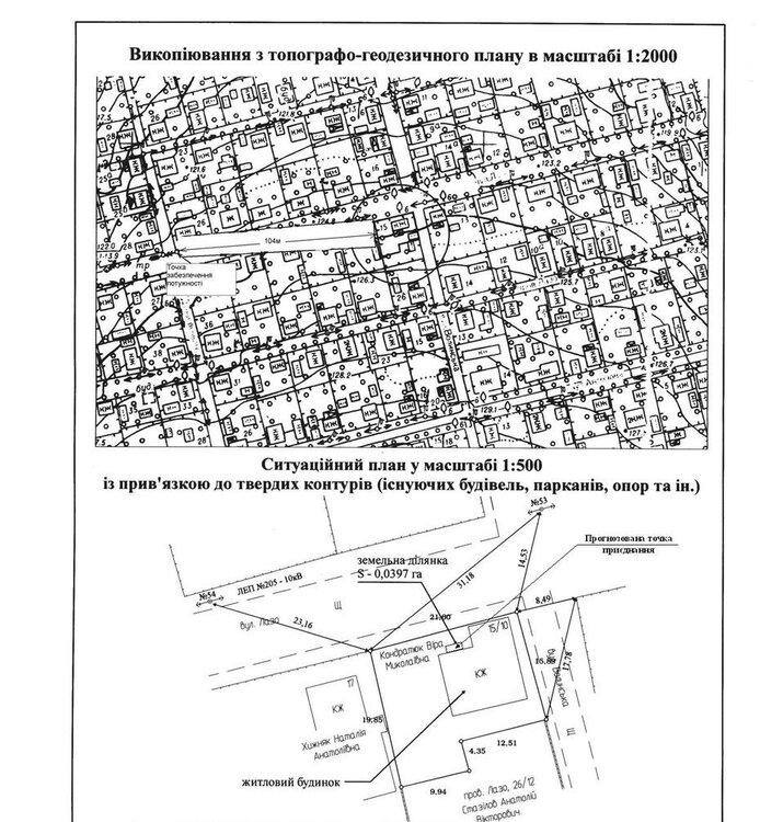
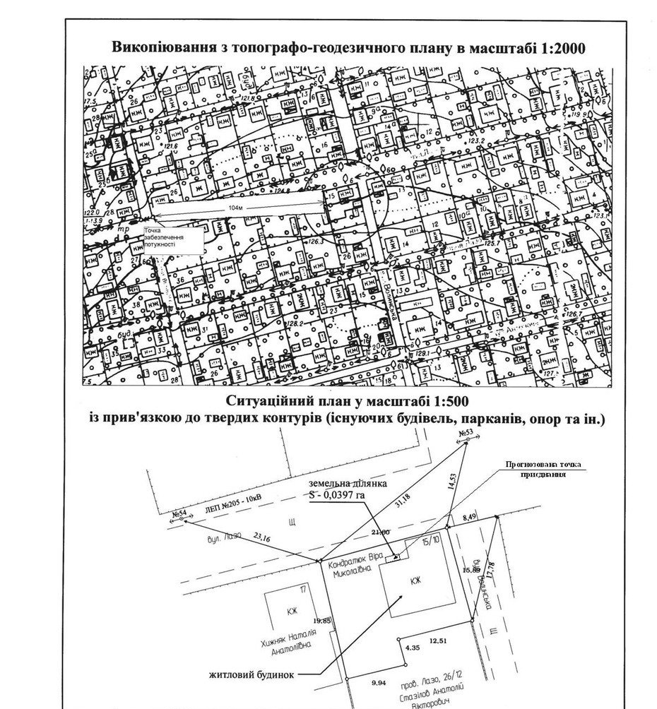
hozmisto2226882 Опубліковано: 27 вересня 2018 Поділитись Опубліковано: 27 вересня 2018 Для подключения дома к электросети в РЭС часто требуют (викопіювання з топографо-геодезичного плану М 1:2000 та ситуаційну схему). Выкопировка из топографо-геодезического плана 1:2000 для РЭС Киевоблэнерго подключение электросети с определением прогнозированной точки присоединения до 300 метров от земельного участка и ситуационный план. Топосъемка М 1:2000 для подключения электричества актуальна в течение 1 года и заверяется печатью нашего топографо-геодезического предприятия. Работаем по Киевской области и таким районам: Киево-святошинский, Вышгородский, Бориспольский, Макаровский, Бородянский, Обуховский, Броварский. Выкопировку ( Викопіювання) делаем в: Бышеве, Княжичах, Перевозе, Черногородке, Жорновке, Бобрице, Заборье, Боярке, Тарасовке, Новом, Святопетровском, Петровском, Даниловке, Кожуховке, Липовом Скитке, Иванкове, Глевахе, Гатном, Вите Почтовой, Юрьевке, Чабанах, Крюковщине, Вишневом, Ирпене, Буче, Ворзеле, Бородянке, Броварах, Зазимье, Пуховке, Рожнах, Ровжах, Летках, Леточках, Вышгороде, Новоселках, Воропаео, Жукине, Михайловке-Рубежевке, Забучье, Дмитровке, Стоянке, Капитановке, Милой, Мрие, Петрушках, Бузовой, Гуровщине, Шпитьках, Петрушках, Горбовичах, Гореничах, Березовке, Колонщине, Севериновке, Мотыжине, Копылове, Ясногородке, Неграшах, Музычах, Луке, Старых и Новых Петровцах, Хотяновке, Осещине, Низшей и Высшей Дубечне, Лютеже, Демидове, Дымере, Синяке, Козаровичах, Гавриловке, Вороньковке, Блиставице, Озерах, Раковке, Лубянке, Гостомеле, Мощуне, Горенке, Бабинцах, Микулычах, Мироцком, Деревянной, Триполье, Украинке, Халепье, Плютах, Таценках, Нещерове, Козине, Старых и Новых Безрадычах, Романкове, Межречье, Подгорцах, Креничах, Гвоздове, Иванковичах, Лесниках, Ходосовке, Межиречье, Рославичах, Кийлове, Головурове, Воронькове, Процеве, Вишеньках, Гнедыне, Осокорках, Ревном, Мартусовке, Петропавловском, Горе, Счастливом, Пролесках, Большой и Малой Александровке, Чубинском, Борисполе, Дударкове, Требухове, Красиловке, Гоголеве, Требухове, Броварах. Стоимость 2000 - 2500грн. (068)689-69-58 Юрий 1 Посилання на коментар Поділитися на інших сайтах More sharing options...
hozmisto2226882 Опубліковано: 1 жовтня 2018 Автор Поділитись Опубліковано: 1 жовтня 2018 Посилання на коментар Поділитися на інших сайтах More sharing options...
hozmisto2226882 Опубліковано: 23 січня 2019 Автор Поділитись Опубліковано: 23 січня 2019 Актуально, поднимаю тему Посилання на коментар Поділитися на інших сайтах More sharing options...
hozmisto2226882 Опубліковано: 8 березня 2019 Автор Поділитись Опубліковано: 8 березня 2019 Предлагаем также вынос участка в натуру. Киевская область. 0686896958 Посилання на коментар Поділитися на інших сайтах More sharing options...
hozmisto2226882 Опубліковано: 21 березня 2019 Автор Поділитись Опубліковано: 21 березня 2019 Вынос в натуру осей зданий Посилання на коментар Поділитися на інших сайтах More sharing options...
hozmisto2226882 Опубліковано: 9 квітня 2019 Автор Поділитись Опубліковано: 9 квітня 2019 Обновляю тему Посилання на коментар Поділитися на інших сайтах More sharing options...
hozmisto2226882 Опубліковано: 18 червня 2019 Автор Поділитись Опубліковано: 18 червня 2019 Для подключения дома к электросети в РЭС часто требуют (викопіювання з топографо-геодезичного плану М 1:2000 та ситуаційну схему). Выкопировка из топографо-геодезического плана 1:2000 для РЭС Киевоблэнерго подключение электросети с определением прогнозированной точки присоединения до 300 метров от земельного участка и ситуационный план. Топосъемка М 1:2000 для подключения электричества актуальна в течение 1 года и заверяется печатью нашего топографо-геодезического предприятия. Работаем по Киевской области и таким районам: Киево-святошинский, Вышгородский, Бориспольский, Макаровский, Бородянский, Обуховский, Броварский. Выкопировку ( Викопіювання) делаем в: Бышеве, Княжичах, Перевозе, Черногородке, Жорновке, Бобрице, Заборье, Боярке, Тарасовке, Новом, Святопетровском, Петровском, Даниловке, Кожуховке, Липовом Скитке, Иванкове, Глевахе, Гатном, Вите Почтовой, Юрьевке, Чабанах, Крюковщине, Вишневом, Ирпене, Буче, Ворзеле, Бородянке, Броварах, Зазимье, Пуховке, Рожнах, Ровжах, Летках, Леточках, Вышгороде, Новоселках, Воропаео, Жукине, Михайловке-Рубежевке, Забучье, Дмитровке, Стоянке, Капитановке, Милой, Мрие, Петрушках, Бузовой, Гуровщине, Шпитьках, Петрушках, Горбовичах, Гореничах, Березовке, Колонщине, Севериновке, Мотыжине, Копылове, Ясногородке, Неграшах, Музычах, Луке, Старых и Новых Петровцах, Хотяновке, Осещине, Низшей и Высшей Дубечне, Лютеже, Демидове, Дымере, Синяке, Козаровичах, Гавриловке, Вороньковке, Блиставице, Озерах, Раковке, Лубянке, Гостомеле, Мощуне, Горенке, Бабинцах, Микулычах, Мироцком, Деревянной, Триполье, Украинке, Халепье, Плютах, Таценках, Нещерове, Козине, Старых и Новых Безрадычах, Романкове, Межречье, Подгорцах, Креничах, Гвоздове, Иванковичах, Лесниках, Ходосовке, Межиречье, Рославичах, Кийлове, Головурове, Воронькове, Процеве, Вишеньках, Гнедыне, Осокорках, Ревном, Мартусовке, Петропавловском, Горе, Счастливом, Пролесках, Большой и Малой Александровке, Чубинском, Борисполе, Дударкове, Требухове, Красиловке, Гоголеве, Требухове, Броварах. Стоимость 2000 - 2500грн. (068)689-69-58 Юрий И другие топографо-геодезические работы.. Посилання на коментар Поділитися на інших сайтах More sharing options...
hozmisto2226882 Опубліковано: 8 вересня 2019 Автор Поділитись Опубліковано: 8 вересня 2019 Цена 2500грн Посилання на коментар Поділитися на інших сайтах More sharing options...
hozmisto2226882 Опубліковано: 13 грудня 2020 Автор Поділитись Опубліковано: 13 грудня 2020 Актуально Посилання на коментар Поділитися на інших сайтах More sharing options...
hozmisto2226882 Опубліковано: 29 березня 2021 Автор Поділитись Опубліковано: 29 березня 2021 Для подключения дома к электросети в РЭС часто требуют (викопіювання з топографо-геодезичного плану М 1:2000 та ситуаційну схему). Выкопировка из топографо-геодезического плана 1:2000 для РЭС Киевоблэнерго подключение электросети с определением прогнозированной точки присоединения до 300 метров от земельного участка и ситуационный план. Топосъемка М 1:2000 для подключения электричества актуальна в течение 1 года и заверяется печатью нашего топографо-геодезического предприятия. Работаем по Киевской области и таким районам: Киево-святошинский, Вышгородский, Бориспольский, Макаровский, Бородянский, Обуховский, Броварский. Выкопировку ( Викопіювання) делаем в: Бышеве, Княжичах, Перевозе, Черногородке, Жорновке, Бобрице, Заборье, Боярке, Тарасовке, Новом, Святопетровском, Петровском, Даниловке, Кожуховке, Липовом Скитке, Иванкове, Глевахе, Гатном, Вите Почтовой, Юрьевке, Чабанах, Крюковщине, Вишневом, Ирпене, Буче, Ворзеле, Бородянке, Броварах, Зазимье, Пуховке, Рожнах, Ровжах, Летках, Леточках, Вышгороде, Новоселках, Воропаео, Жукине, Михайловке-Рубежевке, Забучье, Дмитровке, Стоянке, Капитановке, Милой, Мрие, Петрушках, Бузовой, Гуровщине, Шпитьках, Петрушках, Горбовичах, Гореничах, Березовке, Колонщине, Севериновке, Мотыжине, Копылове, Ясногородке, Неграшах, Музычах, Луке, Старых и Новых Петровцах, Хотяновке, Осещине, Низшей и Высшей Дубечне, Лютеже, Демидове, Дымере, Синяке, Козаровичах, Гавриловке, Вороньковке, Блиставице, Озерах, Раковке, Лубянке, Гостомеле, Мощуне, Горенке, Бабинцах, Микулычах, Мироцком, Деревянной, Триполье, Украинке, Халепье, Плютах, Таценках, Нещерове, Козине, Старых и Новых Безрадычах, Романкове, Межречье, Подгорцах, Креничах, Гвоздове, Иванковичах, Лесниках, Ходосовке, Межиречье, Рославичах, Кийлове, Головурове, Воронькове, Процеве, Вишеньках, Гнедыне, Осокорках, Ревном, Мартусовке, Петропавловском, Горе, Счастливом, Пролесках, Большой и Малой Александровке, Чубинском, Борисполе, Дударкове, Требухове, Красиловке, Гоголеве, Требухове, Броварах. Стоимость 2500грн. (068)689-69-58 Юрий Цена старая - 2500грн. Посилання на коментар Поділитися на інших сайтах More sharing options...
Рекомендовані повідомлення
Створіть акаунт або увійдіть у нього для коментування
Ви маєте бути користувачем, щоб залишити коментар
Створити акаунт
Зареєструйтеся для отримання акаунта. Це просто!
Зареєструвати акаунтУвійти
Вже зареєстровані? Увійдіть тут.
Увійти зараз