serg9 Опубліковано: 7 листопада 2010 Поділитись Опубліковано: 7 листопада 2010 Наконец-то решился вопрос с земельным участком, и как мне кажется, еще ничего не делали, а силы уже на исходе. Но тем не менее, нужно двигаться дальше, и пришло время определиться с тем, что именно мы хочем. Даже не знаю, с чего начинать задавать вопросы. С чего начинать двигаться и в каком направлении. Хотя думаю, что начинать надо с определения, чего мы хочем, и в принципе, что на етом участке вообще возможно, вариантов думаю будет не очень то и много. Итак, мы молодая семья, у нас 2 детей (девочки). Хочем построить домик, живя в котором будем получать удовольстивие. Но вот участок земли у нас не очень то простой в плане размещения, а именно: очень маленькая площадь (430 кв.м.) + по плану дом у нас сдвоенный с соседним (фото будет ниже). Также участок узкий и смотрит "лицом" на север. И во всем етом негативе нужно найти позитивные моменты и придумать что-то, что потом будет приятно воплотить в жизнь. На сегодняшний день у меня на руках только техническая документация на зем. участок (фото ниже) и всего несколько позиций, что я бы хотел увидеть в будущем доме. А дальше прошу вашей помощи. 1. Дом не очень то хочу делать с цоколем, вернее совсем не хочу. Обусловлено тем, что ето немало тянет в плане работ и соответственно стоимости, а также все увиденные мною цокольные помещения (сырость и влага) откинули от етой идеи напрочь. 2. Гараж нужен, т.к. очень люблю что-то делать в машине, тюнинг, ремонт и т.д. Хобби у меня такое. В данное время имею теплый гараж под домом, то просто не представляю, как можна жить без такого. 3. Ни на какой лишний фарш типа сауна, бассейн, бильярд и прочее не претендую, да и места для етого нету. Балконы тоже считаю не очень нужны. 4. Жена хочет видеть стирочную комнату, тоесть стирка, сушка глажка и прочее,а также терассу. 5. Дом должен быть компактным (площадь участка заставляет) но в тоже время уютным, практичным, все должно быть рационально, просторно, конурок не терплю, одним словом все должно быть в удовольствие. 6. Бюджет также не безлимит. Тоесть стройка должна быть еще и более менее сносной для семьи со средним уровнем доходов и чтоб еще и время пожить в етом доме осталось. Я и сам, читая свой пост, понимаю что слишком много неизвесных и посоветовать непросто. Но все же, очень на вас надеюсь, т.к. в строительстве опыта накакого, а пробы сходить к спецу не дали позитивного результата, ибо они не хотят влезать в обсуджения, а просто и тупо говорят - скажите что вы хочете и мы вам ето спроектируем. Жду ваших советов и помощи: что можна придумать, как все оптимально разместить, с/без цоколя, что с гаражем, сколько етажей, мансарда или 2-й етаж, с чего строить (материал стен), какой проект подойдет, какой фундамент ...... и т.д. и. т.д. p.s. териториально - Украина, Ивано-Франковск, если ето имеет значение. и еще, может подскажете, может покажете тему, что такому чайнику как я нужно узнать прежде, чем захотеть иметь собственный дом? Посилання на коментар Поділитися на інших сайтах More sharing options...
as1976as Опубліковано: 7 листопада 2010 Поділитись Опубліковано: 7 листопада 2010 Попробуйте для начала для себя понять и изобразить все описаные помещения по своему восприятию,на листе бумаги.Сделайте несколько вариантов один вы, один жена.Найдите что то общее среди них а потом уже можно и дальше плясать. Чтобы сделать проект все равно прийдеться вам приложить силу мысли,а затем все равно понадобиться архитектор .Чтобы все ваши мысли и пожелания воплотить в жизнь. Посилання на коментар Поділитися на інших сайтах More sharing options...
apxitektop.s Опубліковано: 7 листопада 2010 Поділитись Опубліковано: 7 листопада 2010 p.s. териториально - Украина, Ивано-Франковск, если ето имеет значение. и еще, может подскажете, может покажете тему, что такому чайнику как я нужно узнать прежде, чем захотеть иметь собственный дом? Добрый день =), вам как земляку =), могу посоветовать взять документы, а именно земельный акт - на обратной стороне которого есть кадастровый план - отсканировать и выложить сюда, поможем =) P.S. Отписался в личку Посилання на коментар Поділитися на інших сайтах More sharing options...
Оксенюк Владимир Опубліковано: 8 листопада 2010 Поділитись Опубліковано: 8 листопада 2010 +1 покажите фото участка Посилання на коментар Поділитися на інших сайтах More sharing options...
serg9 Опубліковано: 8 листопада 2010 Автор Поділитись Опубліковано: 8 листопада 2010 Попробуйте для начала для себя понять и изобразить все описаные помещения по своему восприятию,на листе бумаги.Сделайте несколько вариантов один вы, один жена.Найдите что то общее среди них а потом уже можно и дальше плясать. Чтобы сделать проект все равно прийдеться вам приложить силу мысли,а затем все равно понадобиться архитектор .Чтобы все ваши мысли и пожелания воплотить в жизнь. Ребята, я никак не устраняюсь от того, что в етом процессе именно мне с женой нужно будет шевелить мозгами, ибо никто с посторонних не скажет мне то, что именно нужно мне, ежеле я сам не наведу его хотя б на какие-то мысли или направления. Но для того, чтобы хотя б немного начать мыслить в тему, считаю нужным послушать советы бывалых и опытных людей, дабы не мыслись попусту не в ту степь. и начинать имхо нужно с зем. участка, его расположения и других характеристик. что и делаю. 1 Посилання на коментар Поділитися на інших сайтах More sharing options...
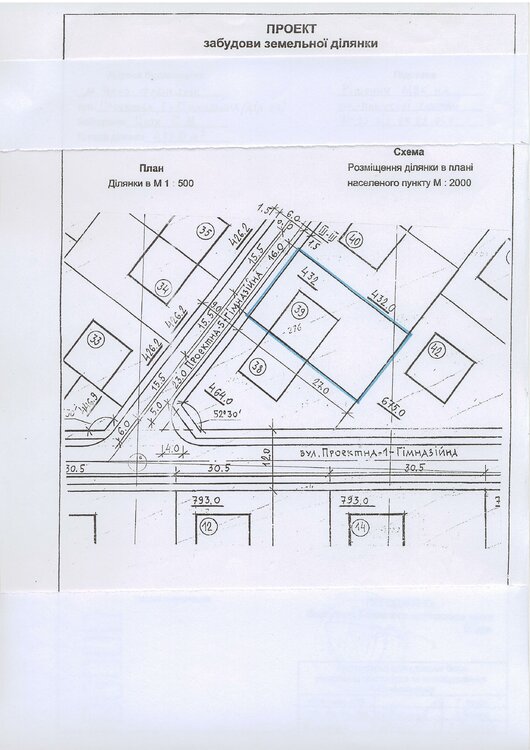
serg9 Опубліковано: 8 листопада 2010 Автор Поділитись Опубліковано: 8 листопада 2010 итак, план зем. участка. мой участок № 39. на фото 1 видно расположение участка относительно соседей и дороги, на фото 2 - более точные размеры и система координат. как видно на фото, проектом застройки предусмотрено спаренный дом. также видно, что участок имеет размеры 16,30*27,20м, итого 443 м.кв., лицом участок смотрит на северо-запад (как я понимаю вход тоже будет с етой стороны) + еще участок находится под уклоном в направлении от точки А до Г (фото2). из етого всего мне нужно начинать отсчет. также имеется еще 1 очень важный нюанс. сосед, с участка 38, в застройке его не заинтересован, тоесть стройку я буду начинать сам, без привязки к нему ни во времени, ни в проектах, ни в чем. также издалека заходит речь об том, чтоб я у него купил етот участок. но он пока не созрел. итого: имеется участок № 39 со своими прелестями и недостатками, который уже пора начинать осваивать, но !!!!!! обязательно нужно учесть тот факт, что проект (и дом в дальнейшем соответственно) должен быть не половинка от спареного дома, а как бы уединенный, с более-менее завершенной архитектурой (не зависимый от учатка 38 ), тоесть такой, который бы был дал мне возможность в будущем либо оставаться в таком состоянии, если мне удасться купить участок №38 и использовать его либо под газон, либо под застройку спаренным домом для детей, и в то же время если мне не удастся купить участок 38, то тоже чтоб мой проект и дом не пострадал. может сумбурно получилось и слишком многа букафф, но теперь скажу попроще. участок № 39 мой. нужно начинать. участок 38 - верю в то что я и его смогу купить. но не уверен. и тепрь мне нужно решить - как начинать стройку так, чтоб если я его куплю, то дом был бы нормальным, и если я его не куплю, то чтоб дом был тоже нормальным ???? вот такая у меня дилема !!! Посилання на коментар Поділитися на інших сайтах More sharing options...
Studio Z500 Опубліковано: 8 листопада 2010 Поділитись Опубліковано: 8 листопада 2010 Добрый день, под Ваши требования может подойти наш проект Z1((ссылка устарела)). В подвариантах проекта, увидите вариации с гаражом. Посилання на коментар Поділитися на інших сайтах More sharing options...
serg9 Опубліковано: 9 листопада 2010 Автор Поділитись Опубліковано: 9 листопада 2010 спасибо, но пока етот вариант не очень нравится. Посилання на коментар Поділитися на інших сайтах More sharing options...
serg9 Опубліковано: 9 листопада 2010 Автор Поділитись Опубліковано: 9 листопада 2010 пообщавшись с человеком, хорошо знающим свое дело, понял что во многом ошибался. а именно, то что на планчике нарисован сдвоенный дом абсолютно не значит что он должен быть таким. тоесть мне как я понимаю нужно исходить сугубо из размеров своего участка и планировать стройку с учетом его размеров 16,30*27,20м, более чем узкий участок блин. так вот, что по вашему можно вместить на учаске в таком размере? Посилання на коментар Поділитися на інших сайтах More sharing options...
Studio Z500 Опубліковано: 9 листопада 2010 Поділитись Опубліковано: 9 листопада 2010 Если с гаражом, то можно попробовать такой: (ссылка устарела) Если гараж таки отдельно, то можно такой: (ссылка устарела) Посилання на коментар Поділитися на інших сайтах More sharing options...
serg9 Опубліковано: 12 листопада 2010 Автор Поділитись Опубліковано: 12 листопада 2010 спасибо, но тут нужно что-то творческое, а не стандарт. Посилання на коментар Поділитися на інших сайтах More sharing options...
Рекомендовані повідомлення
Створіть акаунт або увійдіть у нього для коментування
Ви маєте бути користувачем, щоб залишити коментар
Створити акаунт
Зареєструйтеся для отримання акаунта. Це просто!
Зареєструвати акаунтУвійти
Вже зареєстровані? Увійдіть тут.
Увійти зараз