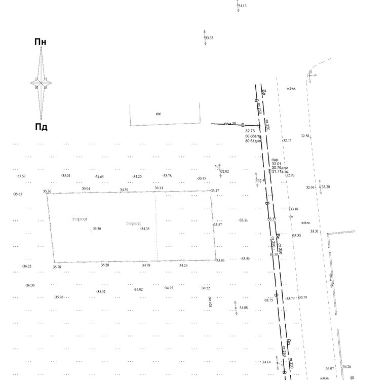
bodidron Опубліковано: 20 вересня 2018 Поділитись Опубліковано: 20 вересня 2018 подскажите с размещение септика участок 20*45м дом 12,75 (длина) на 9,25(ширина) по внешним стенам как грамотно расположить септик на семью из 3х человек для ПМЖ расстояние до соседнего дома 20м, скважин нету, водопровод сельский Посилання на коментар Поділитися на інших сайтах More sharing options...
naupv Опубліковано: 20 вересня 2018 Поділитись Опубліковано: 20 вересня 2018 Первую камеру (герметичную) обязательно у заезда на участок, дренаж от Лукавого Посилання на коментар Поділитися на інших сайтах More sharing options...
bodidron Опубліковано: 21 вересня 2018 Автор Поділитись Опубліковано: 21 вересня 2018 Первую камеру (герметичную) обязательно у заезда на участок, дренаж от Лукавого А расстояния от дома, забора? От дорого до участка и так 20м. От городского водопровода? Посилання на коментар Поділитися на інших сайтах More sharing options...
franzisk Опубліковано: 22 вересня 2018 Поділитись Опубліковано: 22 вересня 2018 septikman.ru/sanitarnye-normy-septik.html все досконально описано Посилання на коментар Поділитися на інших сайтах More sharing options...
bodidron Опубліковано: 22 вересня 2018 Автор Поділитись Опубліковано: 22 вересня 2018 septikman.ru/sanitarnye-normy-septik.html все досконально описано чот я очкую, из-за домена РУ... 1 Посилання на коментар Поділитися на інших сайтах More sharing options...
naupv Опубліковано: 22 вересня 2018 Поділитись Опубліковано: 22 вересня 2018 А расстояния от дома, забора? От дорого до участка и так 20м. От городского водопровода? Не ближе 5м от фундамента. Посилання на коментар Поділитися на інших сайтах More sharing options...
Рекомендовані повідомлення
Створіть акаунт або увійдіть у нього для коментування
Ви маєте бути користувачем, щоб залишити коментар
Створити акаунт
Зареєструйтеся для отримання акаунта. Це просто!
Зареєструвати акаунтУвійти
Вже зареєстровані? Увійдіть тут.
Увійти зараз