dklimock Опубліковано: 21 лютого 2012 Автор Поділитись Опубліковано: 21 лютого 2012 № Найменування 1 Запроектований житловий будинок 2 Червоні лінії 3 Лінії регулювання забудови згідно з п. 2 Вимог 4 Лінії регулювання забудови згідно з п. 3 Вимог 5 Межа ділянки суміжного землекористувача хххх 6 Межа ділянки суміжного землекористувача уууууу 7 Підїзд до будівлі 8 Опора, до якої підведено провід електропостачання від якої буде прокладено провід до будівлі 9 Трубчатий колодязь 10 Каналізаційний септик 11 Фільтруючий колодязь 1 Посилання на коментар Поділитися на інших сайтах More sharing options...
voglya Опубліковано: 21 лютого 2012 Поділитись Опубліковано: 21 лютого 2012 Жесть... В "архитектуре" требуют показать красные линии... нет слов... Так напишите им запрос с приложением схемы и "прошу указать где и как проходят красные линии и линии регулирования застройки в соответствии с действующей градостроительной документацией" (генплан, зонинг и т.д.). В который раз убеждаюсь - эту страну не победить ... умом - никогда. Обычно линии в условных обозначениях цифрами не указывают. Или ставите буквы в точках поворота линии и в "условных обозначениях " пишите: від А до Б - червона линія забудови від Д до Г - межа земельної ділянки и т.д. або: Условные обозначения (далее - в два столбика) слева в прямоугольничке проводите линию по цвету и типу совпадающую с линией на плане (н-р, сплошная красная, или пунктирная зеленая, или штрих-пунктирная серобуромалиновая), а справа напротив прямоугольничка пишите то, что эта линия обозначает _______ - червона линія забудови __ . __ . - межа земельної ділянки 1 Посилання на коментар Поділитися на інших сайтах More sharing options...
otark Опубліковано: 22 лютого 2012 Поділитись Опубліковано: 22 лютого 2012 (змінено) Обычно линии в условных обозначениях цифрами не указывают. Или ставите буквы в точках поворота линии и в "условных обозначениях " пишите: від А до Б - червона линія забудови від Д до Г - межа земельної ділянки и т.д. або: Условные обозначения (далее - в два столбика) слева в прямоугольничке проводите линию по цвету и типу совпадающую с линией на плане (н-р, сплошная красная, или пунктирная зеленая, или штрих-пунктирная серобуромалиновая), а справа напротив прямоугольничка пишите то, что эта линия обозначает _______ - червона линія забудови __ . __ . - межа земельної ділянки Сейчас точно не вспомню, но когдато видел гост в нем все есть как это правильно должно быть.Попробую поискать.Но что самое смешное они сами могут малевать что попало.Я брал выкопировку у землемера,так на его "плане" линия регулирования застройки обозначенна жирной красной ядолго был в ступоре.Красная линия проходит по участку 6м от забора и все дома на улице стоят четко по ней :D. ГОСТ 21.508-93 Змінено 23 лютого 2012 користувачем apxitektop Объединил Посилання на коментар Поділитися на інших сайтах More sharing options...
dklimock Опубліковано: 22 лютого 2012 Автор Поділитись Опубліковано: 22 лютого 2012 Добрый день! Хочу поделиться инфой о получении стройпаспорта по Броварскому р-ну. Все доки сдала 06.02.12, 21.02 12 забрала стройпаспорт. Правда форум читала с прошлого года, так что всем большое спасибо за информацию. Цена вопроса 415 грн по квитанции. А теперь вопрос. В стройпаспорте написано что уведомление надо вести на Клименка, а я так понимаю что народ едет на бульвар Л.Украинки. По почте пока не хочу отправлять, хочу попробовать вручить лично. Подскажите пожалуйста куда ехать. Еще раз всем огромное спасибо за потдержку. если Вас не затруднит, можете выложить здесь скан своего строй паспорта. Он из 3-х или больше страниц состоит? Особенно интересует схема забудови. А на кого квитанция и за какие услуги? Посилання на коментар Поділитися на інших сайтах More sharing options...
otark Опубліковано: 22 лютого 2012 Поділитись Опубліковано: 22 лютого 2012 3. Если есть проект, все равно нужно сдать "Ескіз намірів". Вышли из ситуации следующим образом: сделал копию листа "План ділянки" (может еще наз. "Ситуационный план") и от руки написал название "Ескіз намірів", а возле штампа ФИО, дата, подпись. А можно подробнее что из себя должен представлять эскиз намирив. Дом полностью с планировкой или только периметр пятна застройки? 4. Про топосъемку не спрашивали. 5. В итоге, после 2ух часов заполнения документов и подписывания их у начальников, я получил договор на сумму 853 грн 09 коп. Очень Вы меня этим порадовали.Гуманная цена.Совсем на к.с. р-н не похоже. На неделе повезу архитектора показывать свой участок. Архитектор сразу назначила дату и время?Вы должны забрать ее на янтарной и привезти обратно?Интересно, что она там будет делать,снегу по колени.Не предлагали обойтись фото участка? П.С.2 Дом у меня до 300 м2, хозблок 45 м2. Скважину, септик и т.п. на плане не показывал - сказал, что еще не знаю что и где будет распологаться. Это конечно вопрос не однозначный.Какбы потом все чего нет в стройпаспорте не назвали самостроем и не заставили платить штраф. Добавлено через 3 минуты похоже пора открывать ветку с таким названием. В facebook е на страничке Азарова толку будет больше. Посилання на коментар Поділитися на інших сайтах More sharing options...
ssspit Опубліковано: 22 лютого 2012 Поділитись Опубліковано: 22 лютого 2012 Вот и я начал бумажную волокиту. Получил бланк заявки на строй паспорт. Сразу же мне сделали выкопировку в соседнем кабинете. Дом буду достраивать, поэтому попадаю под термин "реконструкция". Нигде не могу найти как выглядит принятый архитектурой "ескіз намірів забудови". Покажите пожалста у кого есть! Можно ли его самому сделать? Посилання на коментар Поділитися на інших сайтах More sharing options...
voglya Опубліковано: 22 лютого 2012 Поділитись Опубліковано: 22 лютого 2012 ГОСТ 21.508-93 У нас сплошные настыковки ДБНов с ГОСТами, их всех с законами, законов с постановами.... А это вообще чудо-документ (задание у разработчиков звучало так: "дети, нарисуйте как скрипит снег") : ескіз намірів забудови ... Місце розташування будівель та споруд на земельній ділянці, фасади, максимальні відмітки висотності, відстані до сусідніх земельних ділянок - шо це, як їого малювати без проекту. Шо то за документ такий, що все "взагалі по загалям"??? Аби щось було.... Посилання на коментар Поділитися на інших сайтах More sharing options...
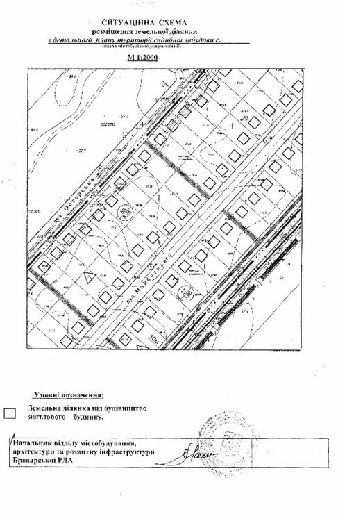
sandrey Опубліковано: 23 лютого 2012 Поділитись Опубліковано: 23 лютого 2012 Вот и я начал бумажную волокиту. Получил бланк заявки на строй паспорт. Сразу же мне сделали выкопировку в соседнем кабинете. Дом буду достраивать, поэтому попадаю под термин "реконструкция". Нигде не могу найти как выглядит принятый архитектурой "ескіз намірів забудови". Покажите пожалста у кого есть! Можно ли его самому сделать? Эскиз намерив - это нарисованый или начерченый план всех построек на вашем участке. Мы сделали его в маштабе, со всеми отступами и размерами. Вопросов к нему не возникло. В архитектуре его перевели в маштаб 1:500 и нанесли красные линии. Это и есть "Схема забудови" 3 Посилання на коментар Поділитися на інших сайтах More sharing options...
SanderEA Опубліковано: 23 лютого 2012 Поділитись Опубліковано: 23 лютого 2012 Нигде не могу найти как выглядит принятый архитектурой "ескіз намірів забудови". Покажите пожалста у кого есть! Можно ли его самому сделать? Вот копия, которую я подавал в К-С архитектуру. Кстати, самое нормальное гос. учреждение. Нормальное отношение, ничего не требовали, не заставляли платить и т.п. 5 Посилання на коментар Поділитися на інших сайтах More sharing options...
otark Опубліковано: 23 лютого 2012 Поділитись Опубліковано: 23 лютого 2012 Кстати, самое нормальное гос. учреждение. Нормальное отношение, ничего не требовали, не заставляли платить и т.п. Таки "покращэння вже сьогодни" произошло. Я в шоке Очень неожиданные перемены.Совсем никаких?А 850 грн по договору? Вот копия, которую я подавал в К-С архитектуру. Пара вопросиков: 1.Кроме этой картинки больше никаких не нужно?(список документов у меня есть).Было гдето о фасадах, планировках. 2.Как происходит вывоз архитектора на место? 3.Все сооружения на Вашем эскизе капитальные?Т.е. имеют фундамет.Я вот думаю чтото вроде навеса для авто рисовать нужно? Посилання на коментар Поділитися на інших сайтах More sharing options...
SanderEA Опубліковано: 23 лютого 2012 Поділитись Опубліковано: 23 лютого 2012 А 850 грн по договору? 850 грн у всех есть, я имел ввиду дополнительные платежи. Пара вопросиков: 1.Кроме этой картинки больше никаких не нужно?(список документов у меня есть).Было гдето о фасадах, планировках. 2.Как происходит вывоз архитектора на место? 3.Все сооружения на Вашем эскизе капитальные?Т.е. имеют фундамет.Я вот думаю чтото вроде навеса для авто рисовать нужно? 1. Этот план, план дома, фасады. Но в самом стройпаспорте есть только план участка на основе моего и мой сзади подшит, возможно потому что у меня есть проект. 2. Договариваетесь когда, забираете архитектора и показываете место. Архитектор может ориентироваться, а может и нет в вашей местности. Также может с собой взять топографический план. 3. У меня капитальные, нарисуйте 2 плана с навесом и без. А на месте уточните. Я нарисовал 4 плана и на месте уточнил что можно, а что нельзя - в итоге сдал подходящий. 1 Посилання на коментар Поділитися на інших сайтах More sharing options...
sandrey Опубліковано: 24 лютого 2012 Поділитись Опубліковано: 24 лютого 2012 Добрый вечер. Если еще кого то интересует, выкладываю схему забудови с подписаного стройпаспорта. 15 Посилання на коментар Поділитися на інших сайтах More sharing options...
sandrey Опубліковано: 25 лютого 2012 Поділитись Опубліковано: 25 лютого 2012 Вижу что инфа еще актуальна. Если нужны еще какие то страницы обращайтесь, выложу. Посилання на коментар Поділитися на інших сайтах More sharing options...
dklimock Опубліковано: 25 лютого 2012 Автор Поділитись Опубліковано: 25 лютого 2012 Вижу что инфа еще актуальна. Если нужны еще какие то страницы обращайтесь, выложу. не томите выкладывайте все, что не жалко Посилання на коментар Поділитися на інших сайтах More sharing options...
sandrey Опубліковано: 25 лютого 2012 Поділитись Опубліковано: 25 лютого 2012 Мое содержимое стройпаспора: 21 Посилання на коментар Поділитися на інших сайтах More sharing options...
dklimock Опубліковано: 25 лютого 2012 Автор Поділитись Опубліковано: 25 лютого 2012 Мое содержимое стройпаспора: большое спасибо отмечу различия между вашим стройпаспортом и заверенным формучанином Zak самодельным паспортом. 1. выделена отдельным листом выкопировка из генерального плана 2. внесены правила благоустрою интересно, у кого ещё такой состав строй паспорта? особенно в Вышгородском районе. Посилання на коментар Поділитися на інших сайтах More sharing options...
otark Опубліковано: 25 лютого 2012 Поділитись Опубліковано: 25 лютого 2012 Мое содержимое стройпаспора: Скажите пожалуйста давали ли Вы архитектору план дома и эскизы фасадов? Посилання на коментар Поділитися на інших сайтах More sharing options...
sandrey Опубліковано: 26 лютого 2012 Поділитись Опубліковано: 26 лютого 2012 Скажите пожалуйста давали ли Вы архитектору план дома и эскизы фасадов? Да, давали все разрезы и фасады в цвете, но в стройпаспорт они не вошли, все отдали при получении. "Эскіз намерів забудови" рисовали сами. Добавлено через 11 минут большое спасибо отмечу различия между вашим стройпаспортом и заверенным формучанином Zak самодельным паспортом. 1. выделена отдельным листом выкопировка из генерального плана 2. внесены правила благоустрою Я так думаю, что основное в стройпаспорте - это "Схема забудови", а остальное это понты. Так что рисуйте "эскиз намерів забудови" от руки или на компе и вперед. Мы все чертили в маштабе и по сторонам света. Удачи. 1 Посилання на коментар Поділитися на інших сайтах More sharing options...
otark Опубліковано: 26 лютого 2012 Поділитись Опубліковано: 26 лютого 2012 Да, давали все разрезы и фасады в цвете, но в стройпаспорт они не вошли, все отдали при получении. "Эскіз намерів забудови" рисовали сами. Т.е. если я правильно понял изначально можно показать любой эскизный проект с подходящими габаритными размерами.Планировка и конфигурация фасадов нигде не фиксируются.У меня есть проблемы с размещением дома на участке и окончательный проект очень зависит от места где будет размещатся дом. Посилання на коментар Поділитися на інших сайтах More sharing options...
sandrey Опубліковано: 26 лютого 2012 Поділитись Опубліковано: 26 лютого 2012 Т.е. если я правильно понял изначально можно показать любой эскизный проект с подходящими габаритными размерами.Планировка и конфигурация фасадов нигде не фиксируются.У меня есть проблемы с размещением дома на участке и окончательный проект очень зависит от места где будет размещатся дом. Мы и пошли таким путем. В эскизе начертили примерные габариты дома (проэкт на дом будем заказывать после хоз.постройки), но на участок посадили так как оно будет и указали все отступы от соседних границ и красных линий, это очень важно. 2 Посилання на коментар Поділитися на інших сайтах More sharing options...
tomtit Опубліковано: 27 лютого 2012 Поділитись Опубліковано: 27 лютого 2012 Пыталась разобраться сама, но всё же требуется помощь зала... Что делать, если "ескіз намірів забудови" в масштабе 1:500 и развёрнут по сторонам света (север - вверху) не влазит на А4 в книжной ориентации? Как лучше: 1) сделать альбомную ориентацию "ескізу" 2) на книжной ориентации страницы поставить крестообразный знак сторон света (повёрнутый) 3) сделать другой масштаб (но ведь нельзя же вроде?..) Ещё вопросы: Страничку с художествами называть "схема забудови" или "ескіз намірів забудови"? Где берутся "вимоги до забудови"? в районной архитектуре? в сельсовете? Чем отличаются "червоні лінії" от "ліній регулювання забудови"? где взять данные об этих линиях? на выкопировке из генплана их нет. Выкопировка из генплана выдаётся сельсоветом платно или бесплатно? Нам в сельсовете выдали какую-то паршивую бумажку, где ничего не видно и не понятно, намекнули, что это не бесплатно. А в РЭС нас с этой бумажкой послали обратно, т.к. это не то, что нужно, и вообще никуда не годится. И за это надо было платить?? К слову, муж тогда отморозился и не заплатил, и не зря. Посилання на коментар Поділитися на інших сайтах More sharing options...
dklimock Опубліковано: 27 лютого 2012 Автор Поділитись Опубліковано: 27 лютого 2012 Пыталась разобраться сама, но всё же требуется помощь зала... Что делать, если "ескіз намірів забудови" в масштабе 1:500 и развёрнут по сторонам света (север - вверху) не влазит на А4 в книжной ориентации? Как лучше: 1) сделать альбомную ориентацию "ескізу" 2) на книжной ориентации страницы поставить крестообразный знак сторон света (повёрнутый) 3) сделать другой масштаб (но ведь нельзя же вроде?..) Ещё вопросы: Страничку с художествами называть "схема забудови" или "ескіз намірів забудови"? Где берутся "вимоги до забудови"? в районной архитектуре? в сельсовете? Чем отличаются "червоні лінії" от "ліній регулювання забудови"? где взять данные об этих линиях? на выкопировке из генплана их нет. Выкопировка из генплана выдаётся сельсоветом платно или бесплатно? Нам в сельсовете выдали какую-то паршивую бумажку, где ничего не видно и не понятно, намекнули, что это не бесплатно. А в РЭС нас с этой бумажкой послали обратно, т.к. это не то, что нужно, и вообще никуда не годится. И за это надо было платить?? К слову, муж тогда отморозился и не заплатил, и не зря. ещё раз алгоритм подаете эскиз, фасады, ген план и т.п. в архитектуру архитектура выдает вимоги готовите (или вам готовят) строй паспорт в который входят вимоги и схема забудови. таким образом к эскизу нет особых требований по масштабу и ориентации. делайте как удобней. называйте эскиз. выложите сюда - прокомментируем. "Чем отличаются "червоні лінії" от "ліній регулювання забудови"? где взять данные об этих линиях?" в 90% случаев червоні лінії = границы участка "ліній регулювання забудови" это линии провденные в соответствии с вимогами, полученными в архитектуре. у меня ген план тоже мутный. В РЭС его не нес. свет подключала контора. 2 Посилання на коментар Поділитися на інших сайтах More sharing options...
tomtit Опубліковано: 27 лютого 2012 Поділитись Опубліковано: 27 лютого 2012 Спасибо, теперь почти всё ясно Прокомментируйте пожалуйста эскиз Посилання на коментар Поділитися на інших сайтах More sharing options...
dklimock Опубліковано: 27 лютого 2012 Автор Поділитись Опубліковано: 27 лютого 2012 Спасибо, теперь почти всё ясно Прокомментируйте пожалуйста эскиз прекрасно, ИМХО. штрихи колодец - это с ведром, трубчатый колодей - это скважина. часто видел пару - септик + фильтруючий колодязь обозначенный отдельно. как на схеме забудови, то можно обозначить защитныую зону колодца, чтобы было видно, что септик в неё не попадает. Видел, и наверное не помешает, указать направление тока грунтовых вод сверху вниз по рельефу. чтобы вместить такую схему в А4 можно попробовать сделать разрыв в незначимой северной части участка обозначив его волнистой линией. столобов електропередач так понимаю что нет, тогда - ок. если есть - можно обозначить. в хоз постройку можно вписать баня, на всякий случай. 1 Посилання на коментар Поділитися на інших сайтах More sharing options...
tomtit Опубліковано: 27 лютого 2012 Поділитись Опубліковано: 27 лютого 2012 как на схеме забудови, то можно обозначить защитную зону колодца, чтобы было видно, что септик в неё не попадает. Это 20 метров? чтобы вместить такую схему в А4 можно попробовать сделать разрыв в незначимой северной части участка обозначив его волнистой линией В таком виде это всё добро влазит на А4, но чтобы линия север-юг была по вертикали, тогда уже не влазит А как лучше, сделать разрыв, или оставить так, со знаком сторон света? Посилання на коментар Поділитися на інших сайтах More sharing options...
Рекомендовані повідомлення
Створіть акаунт або увійдіть у нього для коментування
Ви маєте бути користувачем, щоб залишити коментар
Створити акаунт
Зареєструйтеся для отримання акаунта. Це просто!
Зареєструвати акаунтУвійти
Вже зареєстровані? Увійдіть тут.
Увійти зараз