sany77 Опубліковано: 16 лютого 2012 Поділитись Опубліковано: 16 лютого 2012 Участки по периметру: 1) partizan - №48 2) sollers - №17-18 3) skal - 9-10-11-12-13 4) Ярослав Жукин - №75-76 5) №49 6) №72 7) №73 8 ) №74 9) kirow - №21 10) cbu - №16 11) Tatypog - №14-15 Внутренние участки: 1) №70-71 2) №68-69 3) №43-44 4) MLNK - №83-84 5) Я, №89 6) Николай78 - №79-80 7) July1 - №62 Отказ по периметру, "делаем за свои" до сентября 2012: 1) Я, № 87, минус 57,78 мп от общего периметра, забор своей формы, тоже деревянный 2) ZaMis, №47, минус 37,7 мп №22/1 Согласен. дробь один потому что участок разделен на двоих соседу скину ссылку на форум он сам выскажется либо отпишусь 1 Посилання на коментар Поділитися на інших сайтах More sharing options...
Татьяна5 Опубліковано: 16 лютого 2012 Автор Поділитись Опубліковано: 16 лютого 2012 Участки по периметру: 1) partizan - №48 2) sollers - №17-18 3) skal - 9-10-11-12-13 4) Ярослав Жукин - №75-76 5) №49 6) №72 7) №73 8 ) №74 9) kirow - №21 10) cbu - №16 11) Tatypog - №14-15 Внутренние участки: 1) №70-71 2) №68-69 3) №43-44 4) MLNK - №83-84 5) Я, №89 6) Николай78 - №79-80 7) July1 - №62 8 ) sany77 - №22/1 Отказ по периметру, "делаем за свои" до сентября 2012: 1) Я, № 87, минус 57,78 мп от общего периметра, забор своей формы, тоже деревянный 2) ZaMis, №47, минус 37,7 мп Посилання на коментар Поділитися на інших сайтах More sharing options...
MLNK Опубліковано: 16 лютого 2012 Поділитись Опубліковано: 16 лютого 2012 Завтра передам информацию о заборе хозяевам 85+86. 1 Посилання на коментар Поділитися на інших сайтах More sharing options...
partizan Опубліковано: 16 лютого 2012 Поділитись Опубліковано: 16 лютого 2012 У меня вопрос. Может основные столбы дубовые? Это конечно дороже, но и намного практичнее и долговечнее. Знаю наглядный пример - 25 лет и все очень ОК + они еще и забетонированы. 1м в землю, 2,5 наверх все остальное сосна. Посилання на коментар Поділитися на інших сайтах More sharing options...
Татьяна5 Опубліковано: 16 лютого 2012 Автор Поділитись Опубліковано: 16 лютого 2012 У меня вопрос. Может основные столбы дубовые? Это конечно дороже, но и намного практичнее и долговечнее. Знаю наглядный пример - 25 лет и все очень ОК + они еще и забетонированы. 1м в землю, 2,5 наверх все остальное сосна. имхо, особенного смысла в дубе нет, разве что он дармовой а так: 1) сложности при монтаже доски (сколы, оч тяжело гвоздь забить) 2) от влажности дуб ведет и крутит гараздо сильнее, чем сосну, гнет коромыслом 3) дуб стоит в 3 раза дороже сосны 1 Посилання на коментар Поділитися на інших сайтах More sharing options...
Николай78 Опубліковано: 16 лютого 2012 Поділитись Опубліковано: 16 лютого 2012 Обсмолить как следует столб ниже плинтуса и всего делов. Посилання на коментар Поділитися на інших сайтах More sharing options...
Татьяна5 Опубліковано: 16 лютого 2012 Автор Поділитись Опубліковано: 16 лютого 2012 Обсмолить как следует столб ниже плинтуса и всего делов. именно - хорошо обсмолить, как наши деды-прадеды делали Посилання на коментар Поділитися на інших сайтах More sharing options...
serg198 Опубліковано: 16 лютого 2012 Поділитись Опубліковано: 16 лютого 2012 №2 внешний, согласен в список при выложенной ценовой политике) Правильно понимаю: у меня 25,15м периметра 25.15*112.82=2837.423 грн Готов доложить на изготовление калитки и ворот. ПС Потом все равно снимать придется и делать капитальный... ПСПС Не по теме - где на форуме котят разместить на продажу? Остались кошечка и два кота, скотиш страйт шиншиллы) 1 Посилання на коментар Поділитися на інших сайтах More sharing options...
Татьяна5 Опубліковано: 16 лютого 2012 Автор Поділитись Опубліковано: 16 лютого 2012 №2 внешний, согласен в список при выложенной ценовой политике) Правильно понимаю: у меня 25,15м периметра 25.15*112.82=2837.423 грн ПС Потом все равно снимать придется и делать капитальный... ПСПС Не по теме - где на форуме котят разместить на продажу? Остались кошечка и два кота, скотиш страйт шиншиллы) №2 у нас - внутренний , 12 соток (не помню, 12 вроде?)*125,86 грн = 1510,32 грн Воооот сюда котят - www.stroimdom.com.ua/forum/forumdisplay.php?f=22 1 Посилання на коментар Поділитися на інших сайтах More sharing options...
partizan Опубліковано: 16 лютого 2012 Поділитись Опубліковано: 16 лютого 2012 Обсмолить как следует столб ниже плинтуса и всего делов. А в смете обсмалка учтена? . Посилання на коментар Поділитися на інших сайтах More sharing options...
Татьяна5 Опубліковано: 16 лютого 2012 Автор Поділитись Опубліковано: 16 лютого 2012 А в смете обсмалка учтена? . да, ВСЕ, кроме обработки самих досок 1 Посилання на коментар Поділитися на інших сайтах More sharing options...
serg198 Опубліковано: 16 лютого 2012 Поділитись Опубліковано: 16 лютого 2012 Почему внутренний? 25 метров лицевых на дорогу жукинскую выходят) Или со стороны дороги не ограждаем? Посилання на коментар Поділитися на інших сайтах More sharing options...
Николай78 Опубліковано: 16 лютого 2012 Поділитись Опубліковано: 16 лютого 2012 именно - хорошо обсмолить, как наши деды-прадеды делали Мои деды прадеды еще слой кирпичиков подкладывали снизу, чтобы влагу осечь по периметру. И козырек делали небольшой под углом из дерева. И да, такой забор может простоять примерно 20-30 лет без обработки, а с обработкой - неизвестно - никто не засекал. Татьяна! Обратите внимание! У меня внешний участок, а не внутренний. В списке надо исправить. Посилання на коментар Поділитися на інших сайтах More sharing options...
Татьяна5 Опубліковано: 16 лютого 2012 Автор Поділитись Опубліковано: 16 лютого 2012 Почему внутренний? 25 метров лицевых на дорогу жукинскую выходят) Или со стороны дороги не ограждаем? П - образно, но если будет желание - можно Ваш кусочек сделать, как MNLK планирует, это еще по 169 грн за мп Посилання на коментар Поділитися на інших сайтах More sharing options...
Татьяна5 Опубліковано: 16 лютого 2012 Автор Поділитись Опубліковано: 16 лютого 2012 Мои деды прадеды еще слой кирпичиков подкладывали снизу, чтобы влагу осечь по периметру. И козырек делали небольшой под углом из дерева. И да, такой забор может простоять примерно 20-30 лет без обработки, а с обработкой - неизвестно - никто не засекал. гы, кирпич - гигроскопичен, только клинкер не нашего производства не гигроскопичен , так что они это делали чисто "для души", практической пользы для защиты от влаги небыло козырек - да, или просто торец маслом обработать Посилання на коментар Поділитися на інших сайтах More sharing options...
serg198 Опубліковано: 16 лютого 2012 Поділитись Опубліковано: 16 лютого 2012 П - образно, но если будет желание - можно Ваш кусочек сделать, как MNLK планирует, это еще по 169 грн за мп Не совсем понимаю... Почему №2 внутренний... Забор пройдет моих 25 метров... Все равно калитку и ворота прорубить придется) Посилання на коментар Поділитися на інших сайтах More sharing options...
Татьяна5 Опубліковано: 16 лютого 2012 Автор Поділитись Опубліковано: 16 лютого 2012 Татьяна! Обратите внимание! У меня внешний участок, а не внутренний. В списке надо исправить. прошу прощения , исправлю Участки по периметру: 1) partizan - №48 2) sollers - №17-18 3) skal - 9-10-11-12-13 4) Ярослав Жукин - №75-76 5) №49 6) №72 7) №73 8 ) №74 9) kirow - №21 10) cbu - №16 11) Tatypog - №14-15 12) Николай78 - №79-80 Внутренние участки: 1) №70-71 2) №68-69 3) №43-44 4) MLNK - №83-84 5) Я, №89 6) serg198 - №2 7) July1 - №62 8 ) sany77 - №22/1 Отказ по периметру, "делаем за свои" до сентября 2012: 1) Я, № 87, минус 57,78 мп от общего периметра, забор своей формы, тоже деревянный 2) ZaMis, №47, минус 37,7 мп 1 Посилання на коментар Поділитися на інших сайтах More sharing options...
Татьяна5 Опубліковано: 16 лютого 2012 Автор Поділитись Опубліковано: 16 лютого 2012 Не совсем понимаю... Почему №2 внутренний... Забор пройдет моих 25 метров... условно есть понятия "периметр общего забора", с 3 по 18 участки включительно (касаемо третей дороги). Участки 1 и 2 - условно внутренние, так как мы делает П образное ограждение так же считается и слева на генплане - №87 - это периметр, а №88-91 - "внутренние" участки 59-62 - это тоже "внутренние" 1 Посилання на коментар Поділитися на інших сайтах More sharing options...
serg198 Опубліковано: 16 лютого 2012 Поділитись Опубліковано: 16 лютого 2012 условно есть понятия "периметр общего забора", с 3 по 18 участки включительно (касаемо третей дороги). Участки 1 и 2 - условно внутренние, так как мы делает П образное ограждение Теперь понятно, не знал) На изготовление ворот и калитки записываюсь, необходимыми материалами обеспечу) Посилання на коментар Поділитися на інших сайтах More sharing options...
serg198 Опубліковано: 16 лютого 2012 Поділитись Опубліковано: 16 лютого 2012 №2 у нас - внутренний , 12 соток (не помню, 12 вроде?)*125,86 грн = 1510,32 грн Воооот сюда котят - www.stroimdom.com.ua/forum/forumdisplay.php?f=22 Уточняю, соток 11,58 11,58*125,86=1457,46 грн ПС Спасибо за ссылку) Посилання на коментар Поділитися на інших сайтах More sharing options...
metafosfor Опубліковано: 16 лютого 2012 Поділитись Опубліковано: 16 лютого 2012 Татьяна, запишите и нас (в список "на забор"). Участки 31,32,36,37 1 Посилання на коментар Поділитися на інших сайтах More sharing options...
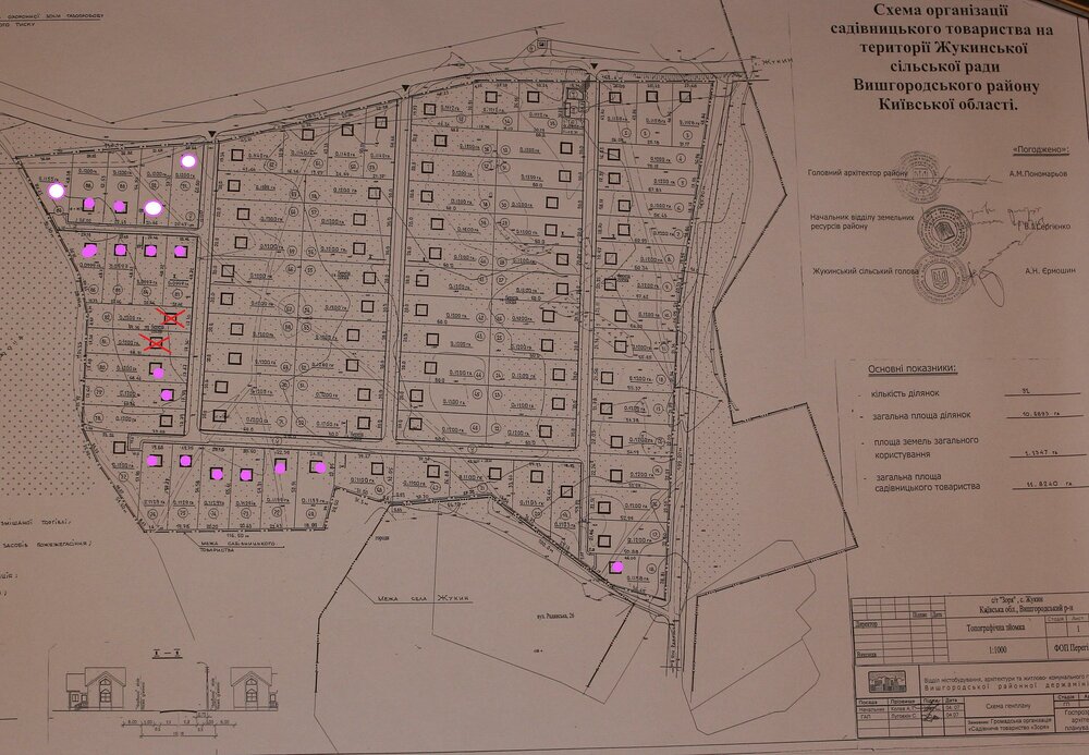
Denbora Опубліковано: 16 лютого 2012 Поділитись Опубліковано: 16 лютого 2012 АААА! Я не успеваю читать Я не то чтобы отлично помню свои номера, но по памяти 63-64 внутренний. ЗА! Еще буду думать, чтобы воспользоваться оптовым забором и в личных целях Хотя тут с соседями надо устаканивать, конечно, но ИМХО, при этой цене да если с каждым соседом да напополам...Как времянка самое то... Чавой-то я размечтался.... Пользуясь случаем. Прошу контактиков July1, если я правильно понимаю, моих соседей слева и соседей за 63-64 на второй дороге. Блин, не могу найти план участков в качестве достаточном для рассмотрения номеров не суперменом. Пожалуйста, у кого есть возможность, выложите куда-нить план огромного размера. 1 Посилання на коментар Поділитися на інших сайтах More sharing options...
sany77 Опубліковано: 16 лютого 2012 Поділитись Опубліковано: 16 лютого 2012 Вот все что есть 3 щелчка по карте и становиться читабельно 1 Посилання на коментар Поділитися на інших сайтах More sharing options...
sollers Опубліковано: 17 лютого 2012 Поділитись Опубліковано: 17 лютого 2012 Вот все что есть 3 щелчка по карте и становиться читабельно А что значат оранжевые точки? Посилання на коментар Поділитися на інших сайтах More sharing options...
Татьяна5 Опубліковано: 17 лютого 2012 Автор Поділитись Опубліковано: 17 лютого 2012 А что значат оранжевые точки? это старый генплан, я какие-то точки как-то обозначала, уже и не вспомню почему Посилання на коментар Поділитися на інших сайтах More sharing options...
Рекомендовані повідомлення
Створіть акаунт або увійдіть у нього для коментування
Ви маєте бути користувачем, щоб залишити коментар
Створити акаунт
Зареєструйтеся для отримання акаунта. Це просто!
Зареєструвати акаунтУвійти
Вже зареєстровані? Увійдіть тут.
Увійти зараз