MLNK Опубліковано: 16 травня 2011 Поділитись Опубліковано: 16 травня 2011 Да, забавно может получиться. Я с десятого этажа уже давно заметил маеток Korni. Как-бы до аукциона дело не дошло. Ещё одна реформа и я сам смогу поучаствовать. Посилання на коментар Поділитися на інших сайтах More sharing options...
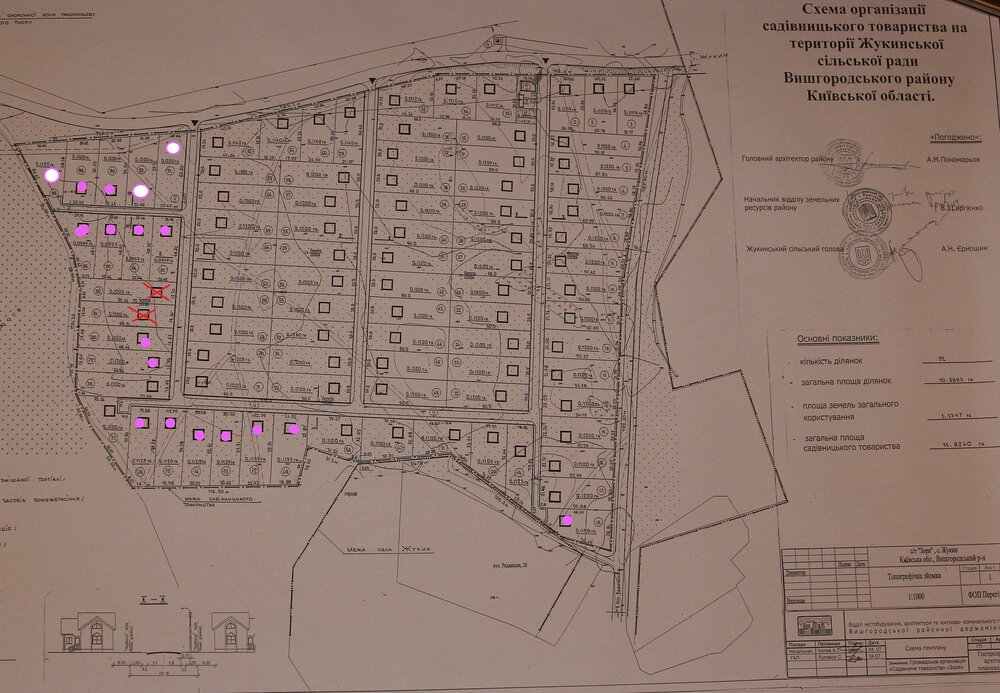
P-A-R-U-S Опубліковано: 16 травня 2011 Поділитись Опубліковано: 16 травня 2011 Дал дабро на 81, 82 участки. На плане видно, отметил красным крестиком. Все остальные, что заняты отмечены кружочками. Почему: 1. Место конечно очень хорошее, тихое. 2. Дорого конечно до меня на бул. Перова от точки до точки - 62 км, после постройки большой киевской окружной дороги, должно сократиться до 40 км, от черты города наверно будет км 15-20. Так как город все-таки расширяется, то лучше иметь место подальше и потише. Я думал что-то по Житомирской трассе, но из года в год, все сложнее добираться с одного берега на другой. А сама дорога более или менее нормальная, в последний раз ездили на Ситроене С3 нормально добрались прямо до места. Так же можно добраться как по киевскому морю, так и основной трассе. 3. Участок рассматривал как дачный вариант, ну или как возможность, что бы жена, дети могли находиться там длительное время. 4. Десна все-таки не так близко, что бы можно было выйти и прогуляться. Но при наличии машины, мотоцикла, велосипеда можно добраться. 5. Участок выходит к лесу. 6. Цена в 500 у.е. впринципе меня устраивает для этого варианта, и участок 24 сотки. Кто знает, как все повернется - а место есть место, может потом поставлю там баньку и буду разводить шиншил ) 7. За радиацию уже писали... фон нормальный. 8. В самом начале уже начали ложить сруб, что уже хорошо. Что смущает: 1. Как я уже писал, охрана. Поэтому нужно конечно дожидаться, пока раскупят участки, а потом уже организовывать дачное хозяйство. Так как ажиотажа пока нет, видно это может растянуться на пару-тройку лет. 2. Как писали, газа нет. Тянуть с села будет конечно дорого, опять же нужно ждать, когда большиство участков раскупят. 3. С правой стороны от дорого, выше от участков большое поле - пока не ясна его судьба, дай бог, что бы не выстроили там что-то.. типа складов. 4. Само село конечно бедненькое, я так понимаю, ни школы, ни больницы, ни чего-то еще там нет. Конечно машина решает все, но все-таки хоть бы магазин нормальные.. 5. Скорее всего высокие грунтовые воды - так что глубокий погреб или гараж под домой лучше не строить. Ну вот такие мысли пока. Ну и советую ехать и смотреть, места действительно хорошие. Участки два угловых остались, что выходят к лесу. И участки что в центре тоже очень неплохие. 3 Посилання на коментар Поділитися на інших сайтах More sharing options...
Татьяна5 Опубліковано: 16 травня 2011 Автор Поділитись Опубліковано: 16 травня 2011 Там еще хватает хороших участков , поверьте. В ближаших планах поубирать растения с планируемой дороги и начинается продажа "очереди №2". Сейчас как раз собирается кворум покупателей, который позволяет задуматься и о вопросах охраны, и о других вопросах. По грунтовым водам - да, подвал лучше не делать, или делать по всем правилам, отметка на 2,5 м где-то. П.С. есть реальное предложение назвать улицу "ул. Форумчан" Посилання на коментар Поділитися на інших сайтах More sharing options...
MLNK Опубліковано: 16 травня 2011 Поділитись Опубліковано: 16 травня 2011 Дал дабро на ... С правой стороны от дорого, выше от участков большое поле - пока не ясна его судьба, дай бог, что бы не выстроили там что-то.. типа складов. ... ни школы, Кому дал добро ? Кто его взял ? По полю справа - предварительно узнавал: поле имеет статус дачных участков, но до генплана не дошло, юр-лица нет. Надо будет точнее выяснить, кто там хозяин. Школа есть. Если на втором фото моя задница, то с Вас ящик пива на роялти. А вообщем поздравляю. Посилання на коментар Поділитися на інших сайтах More sharing options...
Татьяна5 Опубліковано: 16 травня 2011 Автор Поділитись Опубліковано: 16 травня 2011 на текущий момент свободны 15 участков по 12 соток, которые входят в массив №1 по организации ТП и проведению света. Welcome . 067-506-36-11 Татьяна, покажу, расскажу Посилання на коментар Поділитися на інших сайтах More sharing options...
P-A-R-U-S Опубліковано: 16 травня 2011 Поділитись Опубліковано: 16 травня 2011 Кому дал добро ? Кто его взял ? Созванился с Андреем, я пока не в киеве - буду в пятницу, начну процедуру оформления. По полю справа - предварительно узнавал: поле имеет статус дачных участков, но до генплана не дошло, юр-лица нет. Надо будет точнее выяснить, кто там хозяин. Я тоже уточнил, но никто явно мне ничего не разъяснил - какой у него стутус. Школа есть. Если на втором фото моя задница, то с Вас ящик пива на роялти. А вообщем поздравляю. Школу видел, но как-то она меня не впечатлила... я думаю, разумно возить детей как минимум в вышгород. Маршрутки ходят до киева, до геров днепра. Ну пиво не вопрос )) Посилання на коментар Поділитися на інших сайтах More sharing options...
MLNK Опубліковано: 17 травня 2011 Поділитись Опубліковано: 17 травня 2011 Эх-х.... отдадут долги за работы, куплю! Район Жукина - очень нравится. Надо что-то делать, Татьяна. Иметь в соседах такого матёрого строителя стоит немало мешков цемента. А то, если Николай78 и P-A-R-U-S такие-же строители как я, то мы там понастроим. Одна идея уже есть - Korni, пришлите в личку смету с именами должников. 1 Посилання на коментар Поділитися на інших сайтах More sharing options...
Татьяна5 Опубліковано: 17 травня 2011 Автор Поділитись Опубліковано: 17 травня 2011 Надо что-то делать, Татьяна. Иметь в соседах такого матёрого строителя стоит немало мешков цемента. А то, если Николай78 и P-A-R-U-S такие-же строители как я, то мы там понастроим. Одна идея уже есть - Korni, пришлите в личку смету с именами должников. Я Вам больше скажу - Korni не просто строитель - он еще и замечательный, очень мудрый человек, такие соседи - всегда хорошо 1 Посилання на коментар Поділитися на інших сайтах More sharing options...
Korni Опубліковано: 17 травня 2011 Поділитись Опубліковано: 17 травня 2011 .....пришлите в личку смету с именами должников. Спасибо за предложение, но я коренной киевлянин. А Киев - он круглый :D Посилання на коментар Поділитися на інших сайтах More sharing options...
SergiyKyiv Опубліковано: 17 травня 2011 Поділитись Опубліковано: 17 травня 2011 Там птицефабрика Гавриловских Курчат в 2.5 км. 50°49'18"N 30°41'59"E 8-) Запашка нет при попутном ветре? Посилання на коментар Поділитися на інших сайтах More sharing options...
Татьяна5 Опубліковано: 17 травня 2011 Автор Поділитись Опубліковано: 17 травня 2011 Там птицефабрика Гавриловских Курчат в 2.5 км. 50°49'18"N 30°41'59"E 8-) Запашка нет при попутном ветре? Гы, что-то Вы путаете , курчата в 25 км, они как минимум на другом береге Киевского моря Вот Гавриловка на карте town-map.com.ua/gavrilovka_vishgorodskiy_kievskaya.htm Посилання на коментар Поділитися на інших сайтах More sharing options...
MLNK Опубліковано: 17 травня 2011 Поділитись Опубліковано: 17 травня 2011 Заезжал прямо внутрь фабрики, запаха не чувствовал. Местные говорят, что иногда есть запах в той части села, которая примыкает непосредственно. Там Гавриловское производство какое-то специфичное - то-ли молодняк, то-ли резервное. Селяне говорят, что под лесом запаха небыло. Старая колхозная птицеферма частично освоена Гавриловцами. Она расположена как-бы в своём лесу, может поэтому в селе запаха нет. Татьяна - в гугле видно. Я там ходил минут 20, но никакого движения не видел, может она и не работает. Посилання на коментар Поділитися на інших сайтах More sharing options...
SergiyKyiv Опубліковано: 17 травня 2011 Поділитись Опубліковано: 17 травня 2011 Гы, что-то Вы путаете , курчата в 25 км, они как минимум на другом береге Киевского моря Вот Гавриловка на карте town-map.com.ua/gavrilovka_vishgorodskiy_kievskaya.htm я ж координаты прислал Посилання на коментар Поділитися на інших сайтах More sharing options...
Татьяна5 Опубліковано: 17 травня 2011 Автор Поділитись Опубліковано: 17 травня 2011 я ж координаты прислал это не фабрика, это так называемый племенной завод, в идеальной стерильности держат "маточное" поголовье по отзывам, запаха никогда небыло даже в 100 метрах от него, там оч не много птичек, раз в 300 меньше, чем в Гавриловке Посилання на коментар Поділитися на інших сайтах More sharing options...
MLNK Опубліковано: 17 травня 2011 Поділитись Опубліковано: 17 травня 2011 это так называемый племенной завод, в идеальной стерильности держат "маточное" поголовье Во, точно. Посилання на коментар Поділитися на інших сайтах More sharing options...
P-A-R-U-S Опубліковано: 17 травня 2011 Поділитись Опубліковано: 17 травня 2011 Сразу скажу, нужно ехать смотреть. Запаха там нет, слышно птиц - очень тихо, место очень хорошее... и что мне больше всего нравиться, совсем не поле.. Гавриловских курчат и не видно, и не слышно... На участке есть отдельное футбольное поле, так что можно приглашать чемпионат Евро-2012 прямо к себе ;) Посилання на коментар Поділитися на інших сайтах More sharing options...
Korni Опубліковано: 18 травня 2011 Поділитись Опубліковано: 18 травня 2011 Съездили с Таней, посмотрел. Кому интересно, (ссылка устарела) согласно генплану. Под дачу - идеально. До Десны, с её опасным течением, детям далеко. Воздух - сухости именно той, которая мне нравится в этой стороне. Земля для огорода/помидорчиков - скудная... значит спина целее будет ... с учётом обычно приобретаемых размеров (24сотки), соседей слышно будет слабо.... да и видеть не очень... Конечно, было бы правильно вести застройку согласованно. Чтобы Форумчанский Угол мог быть примером некоторого вкуса и стиля.... В поисках дачи меня всегда смущала теснота 6 соток. Но, с другой стороны, владея 4,5 сотками в городе и пытаясь привести ландшафт в божеский вид, понимаю - здоровья привести участок в Жукине до "красоты" не хватит.... Более уместно максимальное сохранение оригинального вида... и микрорельефа... Думаю, на некоторых участках есть техническая возможность выкопать пруд-копанку... карасей запустить, баньку оборудовать.. :D Конкретные участки присмотрел.... Подумаю пару дней... p.s. Таня - спасибо! 2 Посилання на коментар Поділитися на інших сайтах More sharing options...
bora-b Опубліковано: 18 травня 2011 Поділитись Опубліковано: 18 травня 2011 Съездили с Таней, посмотрел. Под дачу - идеально. Конечно, было бы правильно вести застройку согласованно. Чтобы Форумчанский Угол мог быть примером некоторого вкуса и стиля.... Тэ-э-кс! Значит готовимся к стройке? Посилання на коментар Поділитися на інших сайтах More sharing options...
Korni Опубліковано: 18 травня 2011 Поділитись Опубліковано: 18 травня 2011 Тэ-э-кс!..... Очень рекомендую съездить.... хотя тебе вряд ли подойдёт.... далековато ;) Посилання на коментар Поділитися на інших сайтах More sharing options...
MLNK Опубліковано: 19 травня 2011 Поділитись Опубліковано: 19 травня 2011 Конечно, было бы правильно вести застройку согласованно. Более уместно максимальное сохранение оригинального вида... и микрорельефа... Согласен. Когда страсти улягутся и будет ясность по электричеству, видимо осенью, полезно встретиться, послушать, кто, как и что видит. Возможные согласованные действия могут быть весьма эффективными. Посилання на коментар Поділитися на інших сайтах More sharing options...
Сергей Оболонь Опубліковано: 19 травня 2011 Поділитись Опубліковано: 19 травня 2011 Тоже ездил смотрел, нравится просто капец, но участки по 12 соток узкие, а 2х12 накладно. Поєтому ищу друзей на покупку 1га и поделить на 5 участков с нормальным фасадом. Посилання на коментар Поділитися на інших сайтах More sharing options...
Татьяна5 Опубліковано: 19 травня 2011 Автор Поділитись Опубліковано: 19 травня 2011 Тоже ездил смотрел, нравится просто капец, но участки по 12 соток узкие, а 2х12 накладно. Поєтому ищу друзей на покупку 1га и поделить на 5 участков с нормальным фасадом. 20х60 метров Посилання на коментар Поділитися на інших сайтах More sharing options...
MLNK Опубліковано: 19 травня 2011 Поділитись Опубліковано: 19 травня 2011 Татьяна, скупайте активированный уголь, как советовал ihtiandr :D Посилання на коментар Поділитися на інших сайтах More sharing options...
Татьяна5 Опубліковано: 19 травня 2011 Автор Поділитись Опубліковано: 19 травня 2011 Татьяна, скупайте активированный уголь, как советовал ihtiandr :D гы-гы, не вопрос Посилання на коментар Поділитися на інших сайтах More sharing options...
Татьяна5 Опубліковано: 19 травня 2011 Автор Поділитись Опубліковано: 19 травня 2011 Тоже ездил смотрел, нравится просто капец, но участки по 12 соток узкие, а 2х12 накладно. Поєтому ищу друзей на покупку 1га и поделить на 5 участков с нормальным фасадом. Вот смотрите, есть ну оч удачный кусочек для этих целей, 1,08 га, одним актом, 3-х сторонний, первая очередь света, по 400 уе сотка или 43 200 уе за весь участок. На плане он забрызган бордовым напылением . С документами вопросы при делении можно порешать, ориентируйтесь при разбивке на +1500 уе за каждый новый акт по желаемым размерам. 1 Посилання на коментар Поділитися на інших сайтах More sharing options...
Рекомендовані повідомлення